TIN HẾT HẠN

(Hết hạn) Lô 55.2m² giá 7xx triệu – lô hiếm mặt tiền 6.4m, ngõ nhựa ô tô tránh zalo 0567 222 555

Phường Hợp Đức, Quận Đồ Sơn, Hải Phòng

795 triệu
55 m2
28-11-2025
Thông tin mô tả:
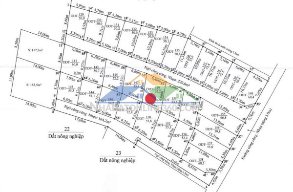
Lô 55.2m² giá 7xx triệu – lô hiếm mặt tiền 6.4m, ngõ nhựa ô tô tránh ZALO 0567 222 555
-Diện tích: 55.2m²-Mặt tiền: 6.40m-Đường trước đất: Ngõ nhựa 3–3.5m, ô tô vào tận nơi-Vị trí: KDC Quyết Tiến, Hợp Đức, Nam Đồ Sơn – gần trục trung tâm phường-Pháp lý: Bìa đỏ riêng, chuẩn chỉnh-Tiện ích: Gần trường – chợ – cụm dân cư đông đúc, gần đường ra biển-Tiềm năng: Khu vực đang hoàn thiện hạ tầng, thanh khoản cao nhờ quỹ đất Đồ Sơn ngày càng khan hiếm-Giá: 7xx triệu
Liên hệ ngay để xem đất thực tế và chốt sớm.
============================================NHÀ ĐẤT ANH MINH 782 Phạm Văn Đồng, Dương Kinh, Hải PhòngTrọng Điểm: Dương Kinh • Đồ Sơn • Kiến ThụySĐT/ZALO: 0567 222 555#BatDongSanHaiPhong #DoSon #NamDoSon #HopDuc #KhuDanCuQuyetTien #CoHoiDauTu #ThanhKhoanTot
Tìm kiếm theo từ khóa
Video & Hình ảnh:
Thông tin chi tiết
Danh mục Bán đất Hải Phòng
Giấy tờ pháp lý Sổ Đỏ
Chiều ngang 64 m
Diện tích 55 m2
Thông tin khác
Loại tin đăng Miễn phí
Ngày cập nhật
Ngày hết hạn
Lưu ý

Bạn đang xem tin đăng "(Hết hạn) Lô 55.2m² giá 7xx triệu – lô hiếm mặt tiền 6.4m, ngõ nhựa ô tô tránh zalo 0567 222 555", có mã số #291446, được cập nhật . Thông tin rao vặt là do người đăng tin đăng tải toàn bộ thông tin. Chúng tôi hoàn toàn không chịu trách nhiệm về bất cứ thông tin nào liên quan đến các thông tin này. Hãy thông báo cho chúng tôi nếu tin này không hợp lệ.

Phản ánh / Báo xấu

Tính lãi suất vay

Giá nhà đất
VNĐ
Số tiền vay
Thời gian vay
Lãi suất
Phương thức tính
Trả trước -
Tiền vay -
Lãi cần trả -
Tiền gốc -
Tiền lãi -

Bảng tính chỉ có giá trị tham khảo. Vui lòng liên hệ tư vấn trực tiếp để nhận được thông tin chính xác nhất.

Bất động sản khác tại Quận Đồ Sơn

2 lô liền kề quyết tiến – đồ sơn  tài chính hiếm dưới 1 tỷ/lô, phù hợp mua ở & đầu tư giữ tiền  zalo 0567 222 555 5 ảnh

2 lô liền kề quyết tiến – đồ sơn tài chính hiếm dưới 1 tỷ/lô, phù hợp mua ở & đầu tư giữ tiền zalo 0567 222 555

870 triệu 57 m 2 1 ngày trước
2 lô liền kề Quyết Tiến – Đồ Sơn Tài chính hiếm dưới 1 tỷ/lô, phù hợp mua ở & đầu tư giữ tiền ZALO 0567 222 555 -Diện tích: 57,6m² và 58,6m²-Vị trí: Khu Quyết Tiến, quận Đồ Sơn, Hải Phòng-Hai lô liền kề nhau, thuận tiện mua gộp hoặc tách giao dịch-Ngõ bê tông trải nhựa, rộng gần 3m, ngõ thông-Khu dân cư hiện hữu, an cư ổn định-Giao thông nội khu thuận tiện, xe máy tránh nhau thoải mái-Bán kính khoảng 500m đầy đủ chợ dân sinh, trường học, UBND-Phù hợp nhu cầu ở thực lâu dài hoặc đầu tư giữ tài sản phân khúc thấp-Cơ hội đầu tư: nguồn hàng liền kề diện tích vừa tiền không nhiều, dễ tiếp cận nhóm khách mua thật -Giá bán: khoảng 8xx triệu/lô -Liên hệ xem đất và trao đổi chi tiếtNHÀ ĐẤT ANH MINH 782 Phạm Văn Đồng, Dương Kinh, Hải PhòngTrọng Điểm: Dương Kinh • Đồ Sơn • Kiến ThụySĐT/ZALO: 0567 222 555-Thông tin mang tính tham khảo tại thời điểm đăng. Xin vui lòng kiểm tra thực tế. #QuyetTien #DoSon #HaiPhong #CoHoiDauTu #ThanhKhoanTot
1,1xx tỷ – ngõ 3,5m đầu trung nghĩa  tuyến 2 sau 1 nhà mặt đường – thanh khoản tốt  zalo 0567 222 555 5 ảnh

1,1xx tỷ – ngõ 3,5m đầu trung nghĩa tuyến 2 sau 1 nhà mặt đường – thanh khoản tốt zalo 0567 222 555

1 tỷ 150 triệu 43 m 2 14-01-2026
1,1xx TỶ – NGÕ 3,5M ĐẦU TRUNG NGHĨA TUYẾN 2 SAU 1 NHÀ MẶT ĐƯỜNG – THANH KHOẢN TỐT ZALO 0567 222 555 -Diện tích: 43,4m²-Mặt tiền: 4,6m-Đường trước đất: Ngõ nhựa rộng 3,5m-Vị trí: Tuyến 2 đường Trung Nghĩa, chỉ sau 1 nhà mặt đường-Kết nối: Gần trục Phạm Văn Đồng, di chuyển thuận tiện-Hiện trạng khu vực: Khu dân cư đông đúc, nhà ở hiện hữu, hạ tầng đồng bộ-Pháp lý: Sổ hồng đứng tên cá nhân -Giá: 1,1xx tỷ -Tiềm năng đầu tư: Phù hợp với nhà đầu tư tìm đất gần trục chính Trung Nghĩa, nhu cầu ở thực cao, dễ khai thác và thanh khoản tốt trong khu dân cư hiện hữu ???? Liên hệ để xem đất thực tế và kiểm tra hồ sơ chi tiết. NHÀ ĐẤT ANH MINH 782 Phạm Văn Đồng, Dương Kinh, Hải PhòngTrọng Điểm: Dương Kinh • Đồ Sơn • Kiến ThụySĐT/ZALO: 0567 222 555 -Thông tin mang tính tham khảo tại thời điểm đăng. Xin vui lòng kiểm tra thực tế. #TrungNghia #HopDuc #DoSon #HaiPhong #CoHoiDauTu #ThanhKhoanTot
18,x tr/m² – đất trục đường quyết tiến, hợp đức, đồ sơn  quỹ đất hiếm – phù hợp đầu tư dòng tiền  zalo 0567 222 555 4 ảnh

18,x tr/m² – đất trục đường quyết tiến, hợp đức, đồ sơn quỹ đất hiếm – phù hợp đầu tư dòng tiền zalo 0567 222 555

2 tỷ 775 triệu 150 m 2 14-01-2026
18,x tr/m² – ĐẤT TRỤC ĐƯỜNG QUYẾT TIẾN, HỢP ĐỨC, ĐỒ SƠN QUỸ ĐẤT HIẾM – PHÙ HỢP ĐẦU TƯ DÒNG TIỀN ZALO 0567 222 555 -Diện tích: 150m²-Mặt tiền: 6m-Đường trước đất: Đường nhựa rộng, ô tô tránh nhau thoải mái-Vị trí: Quyết Tiến, Hợp Đức, Đồ Sơn, Hải Phòng-Hiện trạng xung quanh: Khu dân cư hiện hữu, nhà ở san sát-Lợi thế vị trí: Nằm trên trục đường liên kết khu dân cư và các cụm công ty, đối diện công ty Mai Dịch-Tiện ích: Khoảng 500m tiếp cận đầy đủ dịch vụ ăn uống, vui chơi, sinh hoạt-Phù hợp: Ở kết hợp kinh doanh, xây nhà trọ, đầu tư giữ đất khu vực ven đô Đồ Sơn -Giá: 18,x triệu/m² -Tiềm năng đầu tư: Khu vực được nhiều nhà đầu tư quan tâm nhờ trục đường lớn, mật độ dân cư cao, phù hợp với nhu cầu khai thác cho thuê và tích lũy tài sản trung hạn ???? Liên hệ xem đất thực tế, kiểm tra hồ sơ và vị trí cụ thể. NHÀ ĐẤT ANH MINH 782 Phạm Văn Đồng, Dương Kinh, Hải PhòngTrọng Điểm: Dương Kinh • Đồ Sơn • Kiến ThụySĐT/ZALO: 0567 222 555 -Thông tin mang tính tham khảo tại thời điểm đăng. Xin vui lòng kiểm tra thực tế. #QuyetTien #HopDuc #DoSon #HaiPhong #CoHoiDauTu #ThanhKhoanTot
Tuyến 2 thượng đức – minh đức – đồ sơn  giá 9xx triệu  lô nhỏ hiếm tiền  zalo 0567 222 555 5 ảnh

Tuyến 2 thượng đức – minh đức – đồ sơn giá 9xx triệu lô nhỏ hiếm tiền zalo 0567 222 555

950 triệu 41 m 2 10-01-2026
TUYẾN 2 THƯỢNG ĐỨC – MINH ĐỨC – ĐỒ SƠN GIÁ 9xx TRIỆU LÔ NHỎ HIẾM TIỀN ZALO 0567 222 555 -Diện tích: 41m²-Mặt tiền: 4,1m, thửa đất gọn gàng-Đường/ngõ: Ngõ bê tông rộng khoảng 3m, ô tô vào tận nơi-Vị trí: Tuyến 2 Thượng Đức, phường Minh Đức, quận Đồ Sơn, Hải Phòng-Khoảng cách: Cách trục Thượng Đức khoảng 20m-Hiện trạng: Đất trống, đã xây quây từng lô, ranh giới rõ ràng-Xung quanh: Khu dân cư hiện hữu, gần trường học-Pháp lý: Sổ đỏ riêng từng thửa -Giá: 9xx triệu -Phù hợp nhà đầu tư tìm lô đất nhỏ vốn thấp khu Minh Đức – Đồ Sơn-Khu vực được nhiều nhà đầu tư quan tâm nhờ dân cư ổn định và hạ tầng hoàn thiện ???? Liên hệ xem đất thực tế, làm việc trực tiếp NHÀ ĐẤT ANH MINH 782 Phạm Văn Đồng, Dương Kinh, Hải PhòngTrọng Điểm: Dương Kinh • Đồ Sơn • Kiến ThụySĐT/ZALO: 0567 222 555 -Thông tin mang tính tham khảo tại thời điểm đăng. Xin vui lòng kiểm tra thực tế. #ThuongDuc #MinhDuc #DoSon #HaiPhong #CoHoiDauTu #ThanhKhoanTot
Giá 1,2x tỷ – lô đất quyết tiến, nam đồ sơn, ngõ thẳng, vị trí sát trục chính  zalo 0567 222 555 5 ảnh

Giá 1,2x tỷ – lô đất quyết tiến, nam đồ sơn, ngõ thẳng, vị trí sát trục chính zalo 0567 222 555

1 tỷ 220 triệu 89 m 2 09-01-2026
GIÁ 1,2X TỶ – LÔ ĐẤT QUYẾT TIẾN, NAM ĐỒ SƠN, NGÕ THẲNG, VỊ TRÍ SÁT TRỤC CHÍNH ZALO 0567 222 555 -Diện tích: 89,9m²-Mặt tiền: Khoảng 5m-Hình thửa: Vuông vắn, thuận lợi thiết kế xây dựng-Đường/ngõ: Ngõ thẳng rộng hơn 3m, phương tiện di chuyển thuận tiện-Vị trí: Tổ dân phố Quyết Tiến 1, phường Hợp Đức, quận Đồ Sơn, Hải Phòng-Kết nối: Cách trục đường Quyết Tiến chỉ vài chục mét-Xung quanh: Khu dân cư hiện hữu, nhà ở xây dựng ổn định-Không gian: Cạnh khu đất nông nghiệp, mặt thoáng, môi trường yên tĩnh-Tiện ích: Bán kính khoảng 300m có trường học, chợ, UBND-Pháp lý: Sổ hồng riêng, đứng tên cá nhân -Giá bán: 1,2x tỷ -Tiềm năng: Phù hợp nhà đầu tư tìm đất khu Nam Đồ Sơn có vị trí gần trục chính, dễ khai thác ở thực hoặc giữ đất theo nhu cầu thị trường khu vực Liên hệ trực tiếp để xem đất thực tế và trao đổi chi tiết. NHÀ ĐẤT ANH MINH 782 Phạm Văn Đồng, Dương Kinh, Hải PhòngTrọng Điểm: Dương Kinh • Đồ Sơn • Kiến ThụySĐT/ZALO: 0567 222 555-Thông tin mang tính tham khảo tại thời điểm đăng. Xin vui lòng kiểm tra thực tế.#QuyetTien #HopDuc #DoSon #HaiPhong #CoHoiDauTu #ThanhKhoanTot