Lô đẹp đông lai, sóc sơn - full thổ cư - gần trục chính - gần kcn nội bài - giá đầu tư

Đường Đồng Lai, Xã Quang Tiến, Huyện Sóc Sơn, Hà Nội

3 tỷ 250 triệu
96 m2 (5x19.2)
1 ngày trước
Thông tin mô tả:
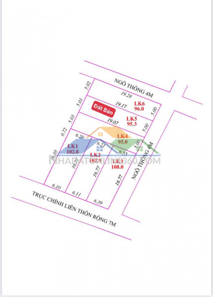
LÔ ĐẸP ĐÔNG LAI – FULL THỔ CƯ – GẦN TRỤC CHÍNH – GIÁ ĐẦU TƯ* Vị trí: Đông Lai – Quang Tiến – Sóc Sơn- Cách trục chính chỉ ~20m, đường ô tô rộng 7m, đi lại cực thuận tiện- Thông tin chi tiết:Diện tích: 95.3m²Mặt tiền: 5m vuông đẹp, dễ xây dựng+ Khu dân cư đông, ở thực hoặc đầu tư đều hợp lý+ Gần trường học, khu đấu giá, tiện ích đầy đủ+ Cách trung tâm Sóc Sơn ~3.5km+ Gần KCN Nội Bài – tiềm năng tăng giá mạnh- Sổ đỏ cất két – sang tên nhanh gọn* Liên hệ ngay: 0386.350.945 (Minh)
Tìm kiếm theo từ khóa
Video & Hình ảnh:
Thông tin chi tiết
Danh mục Bán đất Hà Nội
Giấy tờ pháp lý Sổ Đỏ
Chiều ngang 5 m
Chiều rộng (chiều sâu) 19 m
Diện tích 96 m2
Thông tin khác
Loại tin đăng Miễn phí
Ngày cập nhật
Ngày hết hạn
Lưu ý

Bạn đang xem tin đăng "Lô đẹp đông lai, sóc sơn - full thổ cư - gần trục chính - gần kcn nội bài - giá đầu tư", có mã số #315244, được cập nhật . Thông tin rao vặt là do người đăng tin đăng tải toàn bộ thông tin. Chúng tôi hoàn toàn không chịu trách nhiệm về bất cứ thông tin nào liên quan đến các thông tin này. Hãy thông báo cho chúng tôi nếu tin này không hợp lệ.

Phản ánh / Báo xấu

Tính lãi suất vay

Giá nhà đất
VNĐ
Số tiền vay
Thời gian vay
Lãi suất
Phương thức tính
Trả trước -
Tiền vay -
Lãi cần trả -
Tiền gốc -
Tiền lãi -

Bảng tính chỉ có giá trị tham khảo. Vui lòng liên hệ tư vấn trực tiếp để nhận được thông tin chính xác nhất.

Bất động sản khác tại Huyện Sóc Sơn

Lô đẹp đông lai - full thổ cư - vị trí đắc địa gần trục chính - gần kcn nội bài - giá đầu tư 5 ảnh

Lô đẹp đông lai - full thổ cư - vị trí đắc địa gần trục chính - gần kcn nội bài - giá đầu tư

3 tỷ 250 triệu 96 m 2 (5x19.2) 1 ngày trước
LÔ ĐẸP ĐÔNG LAI – FULL THỔ CƯ – GẦN TRỤC CHÍNH – GIÁ ĐẦU TƯ* Vị trí: Đông Lai – Quang Tiến – Sóc Sơn- Cách trục chính chỉ ~20m, đường ô tô rộng 7m, đi lại cực thuận tiện- Thông tin chi tiết:Diện tích: 95.3m²Mặt tiền: 5m vuông đẹp, dễ xây dựng+ Khu dân cư đông, ở thực hoặc đầu tư đều hợp lý+ Gần trường học, khu đấu giá, tiện ích đầy đủ+ Cách trung tâm Sóc Sơn ~3.5km+ Gần KCN Nội Bài – tiềm năng tăng giá mạnh- Sổ đỏ cất két – sang tên nhanh gọn* Liên hệ ngay: 0386.350.945 (Minh)
Lô đẹp đông lai - full thổ cư - vị trí gđẹp gần trục chính - gần kcn nội bài - giá đầu tư 4 ảnh

Lô đẹp đông lai - full thổ cư - vị trí gđẹp gần trục chính - gần kcn nội bài - giá đầu tư

3 tỷ 250 triệu 96 m 2 (5x19.2) 1 ngày trước
LÔ ĐẸP ĐÔNG LAI – FULL THỔ CƯ – GẦN TRỤC CHÍNH – GIÁ ĐẦU TƯ* Vị trí: Đông Lai – Quang Tiến – Sóc Sơn- Cách trục chính chỉ ~20m, đường ô tô rộng 7m, đi lại cực thuận tiện- Thông tin chi tiết:Diện tích: 95.3m²Mặt tiền: 5m vuông đẹp, dễ xây dựng+ Khu dân cư đông, ở thực hoặc đầu tư đều hợp lý+ Gần trường học, khu đấu giá, tiện ích đầy đủ+ Cách trung tâm Sóc Sơn ~3.5km+ Gần KCN Nội Bài – tiềm năng tăng giá mạnh- Sổ đỏ cất két – sang tên nhanh gọn* Liên hệ ngay: 0386.350.945 (Minh)